A prefeita de Nova Orleans ordenou que bairros desprotegidos de inundações sejam evacuados enquanto a cidade de prepara para um possível impacto direto de uma tempestade mais forte que o furacão Katrina, que deixou um rastro de destruição há exatos 16 anos.
"O que me disseram é que esta tempestade não vai enfraquecer", disse a prefeita, LaToya Cantrell, no sábado (28/8).
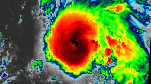
O furacão Ida se intensificou nas águas quentes do Golfo do México antes de sua chegada à costa sul dos Estados Unidos, prevista para domingo (29/8).
A evacuação obrigatória está em vigor para algumas partes de Nova Orleans — aquelas que ficam fora das áreas protegidas por diques — enquanto, para o resto da cidade, foi emitida uma ordem de evacuação voluntária.
Os diques são um sistema de barreiras contra inundação, construídos para proteger as regiões mais baixas de Nova Orleans e que foram reforçados após o Katrina, em 2005.
"Se você vai sair (de casa), precisa fazer isso agora", disse Cantrell. "Precisamos ter certeza de que você está em um lugar seguro. Todos, se vocês vão sair voluntariamente ou ficar, preparem-se."
Ela acrescentou que quem não puder deixar a cidade deve "se preparar para os ventos, quedas de energia, chuvas fortes, tornados".

CRÉDITO,EPA
Cidadãos devem buscar abrigo, dizem autoridades
O impacto das mudanças climáticas na frequência das tempestades ainda não está claro, mas o aumento da temperatura da superfície do mar aquece o ar e disponibiliza mais energia para impulsionar furacões, ciclones e tufões.
Como resultado, é provável que esses fenômenos sejam mais intensos, com chuvas mais extremas.
Os meteorologistas dizem que o furacão estará na categoria 4 quando atingir a costa norte do Golfo do México.
Mais de 80 plataformas de petróleo no golfo foram evacuadas, e metade da produção de petróleo e gás da região foi suspensa.
O Ida já levou fortes chuvas para o oeste de Cuba, atingindo a Ilha da Juventude com ventos de 120 km/h.
Coincidentemente, o domingo marca o 16º aniversário do furacão Katrina, que devastou Nova Orleans depois de atingir a categoria 3. O Katrina inundou 80% da cidade e matou mais de 1,8 mil pessoas.
Os especialistas dizem que se as ondas de tempestade ocorrerem em um momento que coincida com as marés altas, a água do mar poderá inundar o sistema de diques de Nova Orleans e chegar à cidade.
O governador da Louisiana, Bel Edwards, declarou estado de emergência e pediu a todos ao longo da costa do Estado que se abriguem a partir da noite de sábado.
O presidente Joe Biden disse no sábado que Ida estava "se transformando em uma tempestade muito, muito perigosa" e que o governo federal está pronto para ajudar.