19/10/2025 17:28:36

Acidente
27/05/2024 06:00:00

Centenas de milhares de pessoas fogem de tufão em Bangladesh

Centenas de milhares de pessoas fogem de tufão em Bangladesh

Rfi

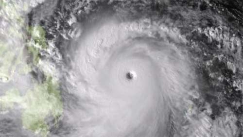
Pelo menos 800 mil bengaleses deixaram suas aldeias costeiras neste domingo (26) para se refugiarem em abrigos de concreto no interior, enquanto o país se prepara para a chegada de um tufão muito violento. Os ciclones mataram centenas de milhares de pessoas em Bangladesh nas últimas décadas, e o número de tufões que atingem o sul de seu litoral, região densamente povoada, aumentou drasticamente de um para três por ano, devido às mudanças climáticas.

Espera-se que o tufão Remal atinja a costa sul e partes da vizinha Índia na noite deste domingo, com o Departamento Meteorológico de Bangladesh prevendo ventos fortes com rajadas de até 130 km/hora.

“O fenômeno pode provocar uma onda de até quatro metros acima da maré normal, o que é potencialmente perigoso”, disse Muhammad Abul Kalam Mallik, um oficial meteorológico local.

O tufão, formado quando uma área de baixa pressão atmosférica surge, e o furacão, são tipos de ciclones, fenômenos maiores do que os tornados. Furacões são tempestades tropicais que surgem a partir de ciclones, um fenômeno da América do Norte e do Caribe.

Assim como os furacões, tufões são tempestades tropicais que surgem a partir de ciclones. Mas, neste caso, eles atingem regiões do Oceano Pacífico no Japão, sul da Ásia e na parte leste do Oceano Índico.

 
 

A maioria das áreas costeiras de Bangladesh está a um ou dois metros acima do nível do mar. As autoridades de Bangladesh elevaram o nível de alerta de ciclone ao máximo, alertando os pescadores a não saírem para o mar e emitindo uma ordem de evacuação para aqueles que se encontram em áreas vulneráveis.

“Estamos aterrorizados”, disse Yusuf Fakir, um pescador de 35 anos de Kuakata, uma cidade no extremo sul de Bangladesh, bem no caminho esperado da tempestade.

Ele mandou a esposa e os filhos para a casa de um parente no interior do país, enquanto ele fica para proteger seus pertences. “Nossa vida cotidiana está prejudicada”, disse ele, lembrando a destruição causada por ciclones anteriores.

Balsa naufragou com 50 pessoas a bordo

Enquanto as pessoas fugiam, a polícia anunciou que uma balsa que transportava mais de 50 passageiros - o dobro de sua capacidade - havia afundado perto de Mongla, um porto no caminho esperado da tempestade.

“Pelo menos 13 pessoas ficaram feridas e foram levadas para o hospital”, disse o chefe da polícia local, Mushfiqur Rahman Tushar, acrescentando que outros barcos haviam levado seus passageiros para um lugar seguro.

O secretário de gerenciamento de desastres do governo, Kamrul Hasan, disse que haviam sido dadas ordens para retirar as pessoas que viviam em “casas perigosas e vulneráveis” para um lugar seguro. “Pelo menos 800.000 pessoas foram transferidas para abrigos contra ciclones”, acrescentou.

As autoridades mobilizaram dezenas de milhares de voluntários para alertar a população sobre o perigo.

De acordo com Hasan, cerca de 4.000 abrigos contra ciclones e tufões foram preparados ao longo da costa do país na Baía de Bengala, e o fenômeno deve varrer um trecho de 220 quilômetros da ilha indiana de Sagar até Khepupara, em Bangladesh.

Aeroporto de Calcutá fechado

Além de moradores e pescadores, muitos centros de vários andares têm espaço para abrigar gado, búfalos e cabras, bem como animais de estimação. Os três portos marítimos do país e o aeroporto de Chittagong, a segunda maior cidade de Bangladesh, foram fechados, segundo as autoridades.

O aeroporto de Calcutá, na Índia, foi fechado do meio-dia deste domingo até a manhã de segunda-feira “em antecipação aos ventos fortes e à chuva muito forte”, informaram as autoridades aeroportuárias, enquanto as praias próximas à área foram fechadas.

Marinha indiana anunciou neste domingo que havia preparado duas embarcações equipadas com suprimentos médicos para “mobilização imediata para garantir a segurança e o bem-estar da população afetada”.

Embora os cientistas digam que a mudança climática está alimentando mais tempestades, melhores previsões e um planejamento de evacuação mais eficaz reduziram significativamente o número de mortos.

Durante o Grande Ciclone Bhola, em novembro de 1970, cerca de meio milhão de pessoas morreram, a maioria delas afogada pela tempestade.

Em maio do ano passado, o tufão Mocha causou a tempestade mais poderosa a atingir Bangladesh desde o Sidr, em novembro de 2007. O Sidr matou mais de 3.000 pessoas e causou bilhões de dólares em danos.

Em outubro passado, pelo menos duas pessoas morreram e quase 300.000 pessoas fugiram de suas casas para se refugiar em abrigos quando o tufão Hamoon atingiu a costa sudeste do país.